На вказану електронну адресу було надіслано повідомлення для підтвердження реєстрації
Від стресу таки можна посивіти, але не все так страшно: дослідження
- 157
Людина дійсно може різко посивіти через стрес. Але коли стан прийде у норму – волосся поверне первинний колір. Але чим старша людина, тим менше шансів, що цей процес запуститься. До такого висновку прийшли вчені з Колумбійського університету.
У дослідженні брали участь 14 добровольців, які регулярно ведуть щоденники. Вони могли оцінити рівень пережитого стресу на кожному тижні у період, який зацікавив вчених. Результати спостереження описані у журналі Колумбійського університету.
Це цікаво: У США створили соломинку, яка позбавляє від нападів гикавки: як вона виглядає
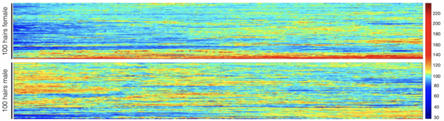
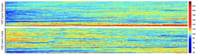
Волонтери надали для аналізу своє волосся. Біологи розділили їх на шматочки довжиною 50 мікрометрів – приблизно на стільки волосся виростає за годину. Так вчені змогли виміряти інтенсивність пігментації у конкретний час.
Стреси впливають на пігмент, який відповідає за забарвлення волосся / Фото ShutterStock
Виявилося, чим вищий рівень стресу у людини, тим менше пігменту в його волоссі. У деяких добровольців його кількість приходила в норму, коли життєва ситуація стабілізувалася.
Так змінюється пігментація. Це приклад зі ста жіночих (вгорі) і чоловічих (внизу) волосин. Червоні та жовті кольори відповідають більшому змісту пігменту, блакитні та сині – меншому.
- З віком волосся відновлювало свій колір все рідше. Це пов'язано з біологічними факторами.
"Не думаю, що зниження стресу у 70-річної, сивої людини допоможе волоссю потемніти. Або що стресу буде досить десятирічній дитині, щоб стати сивою", – говорить провідний автор дослідження Мартін Пікард.
Базовою причиною втрати пігментації вчені назвали дисфункцію мітохондрій у клітинах фолікул – волосяних цибулин.
Читайте також: Учені назвали несподівану ознаку, яка свідчить про деменцію
Цей матеріал має винятково інформаційний характер і не містить жодних порад, діагнозів чи висновків, що стосуються вашого здоров'я. Якщо вам потрібні встановлення діагнозу, консультація медика або лікування, зверніться до фахівця.
-
04:00Коли святкують День ангела Костянтина: значення імені, характер та сильні сторони
-
01:35Оленко, з іменинами: красиві картинки та теплі привітання зі святом 6 березня
-
00:30Іменини Олени: теплі привітання для найближчих у картинках і прозі
- 05 березня
-
21:22Яке свято відзначають 6 березня: традиції, заборони і прикмети на цей день
-
20:32Блиск та чистота за лічені хвилини: як правильно робити вологе прибирання
-
Українські патріотичні пісні: плейлист, який підіймає дух
-
19:25Низькокалорійний білковий чизкейк без цукру: як приготувати легкий десерт з протеїном
-
18:305 фраз, які не можна говорити молодшим дітям: як слова батьків формують самооцінку
-
18:006 березня – день сильних емоцій: що зірки приготували для вашого знака сьогодні
-
17:35Не лише квіти: небанальні подарунки до Міжнародного дня боротьби за права жінок
-
17:30Білосніжні кросівки за 10 хвилин: як приготувати "магічний" гель із копійчаних засобів
-
16:25Новий спосіб покращити концентрацію та увагу: чому “friction-maxxing” стає трендом
-
16:00"Моя друга мама”: донька Ольги Сумської розповіла про розлуку з сестрою, яка живе в росії
-
15:25Яку городину сіяти одразу після снігу: 7 холодостійких культур для раннього врожаю
-
З Днем народження: топ 75 привітань у картинках, віршах, прозі та смс українською
-
15:00Ірина Федишин отримала "Золоте серце" від Зеленського: за що нагородили співачку
-
14:35Тарас Шевченко в музиці: українські хіти на слова Кобзаря, які варто почути
-
14:00Олександр Терен несподівано приїхав до батьків у Рівне: теплі сімейні кадри
-
13:30Білкові ПП-пиріжки без дріжджів: як приготувати ніжну домашню випічку без зайвого цукру
-
12:30Темна естетика під обстрілами: бельгійський фотограф зняв українських підлітків-готів
-
11:30Дзідзьо підігрів чутки про новий роман після розлучення
-
10:30Софія Ротару вийшла на зв'язок та показала рідкісне фото з Івасюком
-
10:30Друга Ріка і Євген Клопотенко готували млинці в машині: на вокзалі з’явився Борис Джонсон
-
09:30У Лондоні з’явиться найбільший магазин "Harry Potter" — оголошено дату відкриття
-
08:35Банан під підозрою: лікар із США назвав популярний фрукт "найнебезпечнішим"
- 05 березня
-
21:22Яке свято відзначають 6 березня: традиції, заборони і прикмети на цей день
-
18:006 березня – день сильних емоцій: що зірки приготували для вашого знака сьогодні
-
06:305 березня – день великих можливостей, але не для всіх: дізнайся, чи ти серед щасливчиків
- 04 березня
-
22:40Сумська втрапила у музичний скандал: відео з Instagram зникло після хвилі критики
-
21:22Яке свято відзначають 5 березня: традиції, заборони і прикмети на цей день
-
17:30Шевченкові дні 2026: як відзначають 9 і 10 березня в Україні
-
15:00Олексій Гнатковський коментуватиме "Оскар-2026": де і коли дивитися трансляцію в Україні
-
13:30Spotify видалив майже 5 тисяч українських ШІ-треків
-
10:30Більше ШІ, пам'яті та швидкості: Apple презентувала новий MacBook Air на чипі M5
-
09:304 березня – день народження генія: пісні Володимира Івасюка, які житимуть вічно
-
07:00Не лише автор Гімну України: які ще великі здобутки залишив Михайло Вербицький
-
06:30Венера здивує – Меркурій заплутає: кому пощастить у коханні, а кому – у кар'єрі
- 03 березня
-
21:23Яке свято відзначають 4 березня: традиції, заборони і прикмети на цей день
-
20:00"Готуємо до бою": Євген Клопотенко допоможе Міноборони розробити нове меню для ЗСУ
-
18:30Коли весняне рівнодення 2026: значення, прикмети та заборони
-
14:34Як контролювати гнів і не зруйнувати стосунки: 7 порад психолога, які реально працюють
-
10:30Apple офіційно представила доступніший iPhone 17e: чим дивує новий смартфон
-
07:00Слово на передовій: українські письменники, які змінили кабінети на окопи і творять досі
-
06:30Астролог попереджає: 3 березня не варто ігнорувати свою інтуїцію – ось чому
- 02 березня
-
21:23Яке свято відзначають 3 березня: традиції, заборони і прикмети на цей день
-
13:04Переведення годинників у березні 2026: коли українці втратять годину сну
-
10:10Не лише Бонд: 5 фільмів Деніела Крейга, які доводять, що він набагато більше за агента 007
-
06:30Що зірки приготували на 2 березня: кому дають зелене світло, а кому радять пригальмувати
- 01 березня
-
21:23Яке свято відзначають 2 березня: традиції, заборони і прикмети на цей день
-
21:00Не проґавте цю весну: ТОП-50 справ, які обов'язково треба зробити цього сезону